The story begins with a seemingly minor irritation that soon evolves into a full-body torment. The itch spreads relentlessly—from arms and chest to scalp—becoming an ever-present, maddening sensation. Scratching provides only fleeting relief, making the man realize this isn’t a typical allergic reaction or skin condition. Initially, he suspects common culprits: food allergies, laundry detergent, […]
Author: B
Carrie Underwood, 42, is showing off her new boyfriend… and you better sit down, because you might recognize him!
Country music superstar **Carrie Underwood**, 42, has fans buzzing after sharing photos of her new boyfriend on social media. The singer, known for hits like *Before He Cheats* and *Jesus, Take the Wheel*, looked happier than ever as she introduced the man in her life — and there’s a good chance you’ve seen him before. […]
This Husband’s Witty Comeback Will Leave You in Stitches!
After finishing her shower, a wife walked into the bedroom and noticed the curtains were still open. Feeling a bit self-conscious, she asked her husband to close them so that the neighbors wouldn’t be able to see her. Her concern was genuine — she didn’t want anyone outside to accidentally catch a glimpse of her […]
Everyone is pointing out the same issue as Pope Leo catches bizarre gift from member of the public
Newly appointed Pope Leo XIV, formerly Chicago-born Cardinal Robert Francis Prevost, made headlines after a surprising moment on May 28 when he caught a cloth doll mid-air, thrown by a White Sox fan while riding in the popemobile. The doll was dressed like the pope during his first appearance at St. Peter’s Basilica. While the […]
His body was itchy, he thought
His body was itchy, he thought it was an allergy, but a harsh diagnosis changed his life. For several weeks, Laura Gómez, a 32-year-old young mother, began experiencing intense itching. At first, she thought it was a simple allergy. She changed her soap, avoided certain foods, and even visited a dermatologist, who prescribed creams and […]
Donald Trump Gets More Bad News…
Trump Faces Multiple Federal Charges Over 2020 Election Efforts On Thursday, former President Donald Trump was formally charged with four criminal counts tied to his actions following the 2020 presidential election. The charges include conspiracy to defraud the United States, conspiracy to obstruct an official proceeding, obstruction and attempt to obstruct an official proceeding, and […]
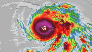
BREAKING NEWS Large Hurricane MELISSA CATEGORY 5 forming…
As we reported earlier, Melissa ranks as the most powerful hurricane ever to make a direct strike on Jamaica. Across the broader Atlantic, however, Melissa stood out for several extraordinary reasons: It matched the record for the strongest hurricane to make landfall anywhere in the Atlantic basin, with sustained winds reaching 185 mph. With a […]
The original hourglass: The mo
With a name like Tempest Storm, fireworks were inevitable. Fiery red hair, commanding eyes, and unstoppable ambition turned a small-town runaway into one of burlesque’s brightest stars. Born Annie Blanche Banks on Leap Day, 1928, in Eastman, Georgia, she escaped poverty and abuse by running away at fourteen. After two brief teenage marriages, she left […]
Teen Figure Skater Matilda Ferrari, 15, Dies Sud
Italy Mourns Young Skating Talent Matilda Ferrari Tragic Accident Italy is grieving after 15-year-old figure skater Matilda Ferrari died in Giustino, Trentino, while on her way to school. She had been walking to catch her bus when the accident occurred, shocking the small alpine town. Rising Star Matilda trained daily with Sporting Ghiaccio Art Pinzolo and had recently returned […]
FIRST LADY JILL BIDEN MA
Sometimes it’s hard to walk away from a career you love, but First Lady Jill Biden has decided it’s time. After 40 years of teaching, she announced last week that she’s retiring, following her final class at Northern Virginia Community College. Speaking during a virtual event with teachers nationwide, Biden reflected on her decades in […]